
Ulica: | Majerská |
---|---|
Obec: | Bratislava-Vrakuňa |
Okres: | Bratislava II |
Kraj: | Bratislavský kraj |
Druh: | Pozemky |
Typ: | Predaj |
Typ pozemku: | Pozemok pre rodinné domy |
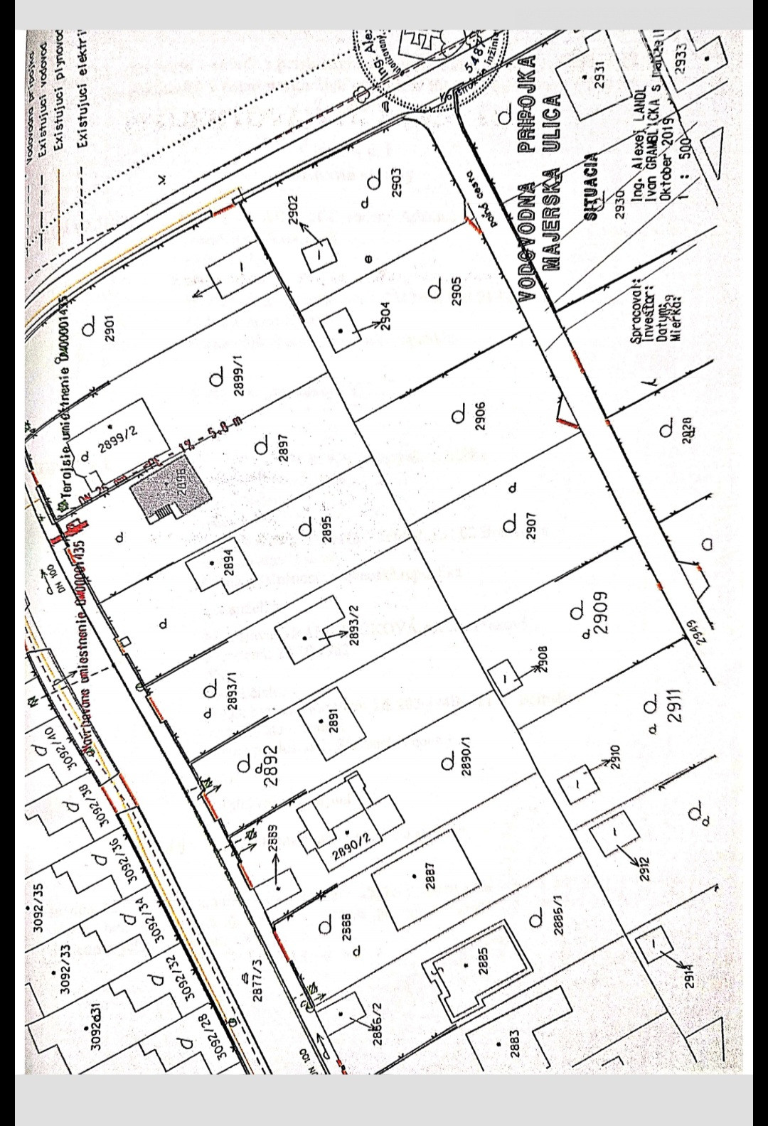
Exkluzívne ponúkame na predaj veľmi pekný stavebný pozemok ideálneho obdĺžnikového tvaru a s ideálnou výmerou 486 m2.
Pozemok je situovaný v katastrálnom území obce Vrakuňa , Majerská ulica.
ÚPI na vyžiadanie.
Na pozemku sa nachádza záhradný domček s výmerou 45m2 v pôvodnom, celkom dobrom stave.
Inžinierske siete - (voda, elektrina, plyn, žumpa).
Cena pozemku CENA DOHODOU,- EUR
Cena je konečná, vrátane kompletného realitného a hypotekárneho servisu, ktorý zahŕňa autorizované zmluvy,vypracované a garantované advokátskou kanceláriou, hypotekárne a právne poradenstvo, kompletný prepis energií.
REZERVÁCIA BEZ RIZIKA - PRI VYUŽITÍ NÁŠHO FINANČNÉHO SERVISU VÁM GARANTUJEME VRÁTENIE REZERVAČNEJ ZÁLOHY, AK HYPOTÉKU NEDOSTANETE.
Ak uvažujete o kúpe rodinného domu, ale potrebujete najskôr predať svoju nehnuteľnosť, vyriešime všetko súčasne - aj predaj Vašej nehnuteľnosti, aj kúpu novej, vrátane financovania,hypotekárneho servisu a právneho poradenstva. Je to vždy jednoduchšie, ako riešiť predaj a kúpu zvlášť.
Poskytneme Vám kompletný právny servis pri predaji až po zápis do katastra nehnuteľností. V cene je zahrnutý aj hypotekárny servis - HYPOTÉKU VYBAVÍME ZA VÁS.
Zabezpečíme aj súdneho znalca, právne poradenstvo, vypracovanie autorizovaných zmlúv, vklad do katastra vrátane správnych poplatkov, poistenie Vašej nehnuteľnosti, prevedieme Vás bezpečne celým procesom predaja a poskytneme asistenciu pri prepise energií na nového majiteľa.
Ak by ste radi získali viac informácií, kontaktujte nás na tel.č. : 0905 796 171, prípadne e-mailom na adrese: gramblickova@accentreal.sk. Nájdete nás na Drieňovej ul. 34 v Bratislave.
Tešíme sa na obhliadku s Vami!
ku: Cena Dohodou,- Eur
realitný maklér